OGŁOSZENIA NIERUCHOMOŚCI
Sprzedaż - Kupno - Wynajem
domy
działki
garaże
magazyny
lokale użytkowe
mieszkania
budynki użytkowe
kamienice
pokoje
gospodarstwa rolne
domki
Rodzaj ogłoszenia:
- wszystkie ogłoszenia -
Sprzedaż
Kupno
Zamiana
Wynajem
Typ nieruchomości:
- wszystkie typy -
dom
działka
garaż
magazyn
lokal użytkowy
mieszkanie
budynek użytkowy
kamienica
pokój
gospodarstwo rolne
domek
Województwo:
- dowolne województwo -
dolnośląskie
kujawsko-pomorskie
lubelskie
lubuskie
łódzkie
małopolskie
mazowieckie
opolskie
podkarpackie
podlaskie
pomorskie
śląskie
świętokrzyskie
warmińsko-mazurskie
wielkopolskie
zachodniopomorskie
Cena (PLN):
od
do
Skorzystaj z poniższej mapy, aby szybko odnaleźć ogłoszenia nieruchomości w wybranym województwie.
provinces
Tanie noclegi i wczasy nad morzem.
Ceny już od 20 zł za osobę !
Zapraszamy nad polskie Morze Bałtyckie.
Działka na sprzedaż (1185 m
2
) - Bytkowo.
powrót
Cena ›
260700 zł
Typ nieruchomości ›
działka
Powierzchnia ›
1185 m
2
Województwo ›
wielkopolskie
Miejscowość ›
Bytkowo
Ulica i nr ›
os. Topolowe
Opis nieruchomości
Tylko bezpośrednio.
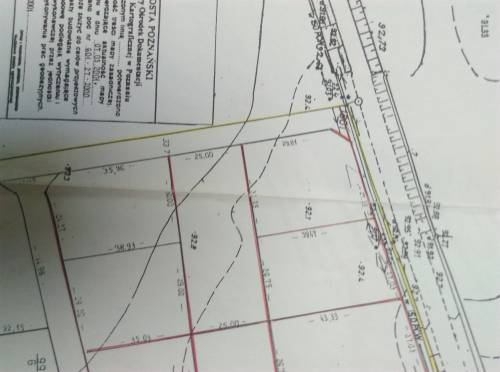
Działki budowlane w Bytkowie, os.Topolowe, gm.Rokietnica.
Działki o pow. od 1185 m2 do 1851 m2 :
nr 333 - 1185 m2
nr 346 - 1208 m2
nr 335 - 1211 m2
nr 348 - 1337 m2
nr 339 - 1851 m2 ,
w regularnych kształtach - patrz mapka lub https://rokietnica.e-mapa.net/
W sąsiedztwie są już budowane domy. Dla działek i terenu uchwalony jest plan zagospodarowania przestrzennego z przeznaczeniem na budownictwo jednorodzinne MPZP Nr: XXXIV/347/2005 ( zapoznać się można na https://sip.gison.pl/rokietnicapoznanski ).
Pełne uzbrojenie - wszystkie media - prąd (skrzynki na placach), kanalizacja (zapłacona),woda w drodze, gaz w drodze, utwardzone i oświetlone drogi dojazdowe. Dobra komunikacja do Poznania i Rokietnicy - gminne autobusy, PKP, asfaltowa droga powiatowa. W pobliżu kościół oraz centrum gminy z pełną infrastrukturą: zespół szkół, przedszkole, przychodnia, sklepy, targowisko itp. Okolica atrakcyjna rekreacyjnie - pole golfowe, tereny leśne, wycieczki rowerowe i piesze.
Sprzedaż bez pośredników - brak dodatkowej prowizji.
Cena większej działki do ewentualnej negocjacji.
Dalsze informacje pod numerem telefonu 508 217 220
Zdjęcia obiektu
Kliknij na miniaturę, aby powiększyć wybrane zdjęcie
.
Opis działki
kanalizacja miejska
woda
prąd
gaz
Okolica
spokojna okolica
policja
plac zabaw
przychodnia
żłobek
centrum handlowe
park
apteka
autobus
przedszkole
las
poczta
PKP
szkoła
Lokalizacja na mapie
Poniżej znajduje się mapa z zaznaczonym miejscem, gdzie znajduje się oferowana nieruchomość.
Ładowanie mapy...
Dane kontaktowe
Poniżej znajdują się dane umożliwiające kontakt z osobą oferującą nieruchomość.
Telefon kom. ›
508217220
Wyślij wiadomość ›
Kod ›
f986aa
Przepisz kod ›
Twój e-mail ›
Wyświetleń oferty:
5130