OGŁOSZENIA NIERUCHOMOŚCI
Sprzedaż - Kupno - Wynajem
domy
działki
garaże
magazyny
lokale użytkowe
mieszkania
budynki użytkowe
kamienice
pokoje
gospodarstwa rolne
domki
Rodzaj ogłoszenia:
- wszystkie ogłoszenia -
Sprzedaż
Kupno
Zamiana
Wynajem
Typ nieruchomości:
- wszystkie typy -
dom
działka
garaż
magazyn
lokal użytkowy
mieszkanie
budynek użytkowy
kamienica
pokój
gospodarstwo rolne
domek
Województwo:
- dowolne województwo -
dolnośląskie
kujawsko-pomorskie
lubelskie
lubuskie
łódzkie
małopolskie
mazowieckie
opolskie
podkarpackie
podlaskie
pomorskie
śląskie
świętokrzyskie
warmińsko-mazurskie
wielkopolskie
zachodniopomorskie
Cena (PLN):
od
do
Skorzystaj z poniższej mapy, aby szybko odnaleźć ogłoszenia nieruchomości w wybranym województwie.
provinces
Tanie noclegi i wczasy nad morzem.
Ceny już od 20 zł za osobę !
Zapraszamy nad polskie Morze Bałtyckie.
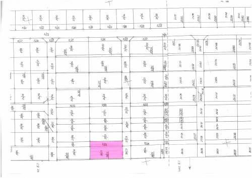
Działka na sprzedaż (846 m
2
) - Częstochowa.
powrót
Cena ›
148000 zł
Typ nieruchomości ›
działka
Powierzchnia ›
846 m
2
Województwo ›
śląskie
Miejscowość ›
Częstochowa
Ulica i nr ›
Mazowieckiego
Opis nieruchomości
Na sprzedaż działka zlokalizowana pomiędzy ulicami Mazowieckiego i Kuronia, teren w Miejscowym Planie Zagospodarowania Przestrzennego z przeznaczeniem na zabudowę jednorodzinną.
Działka posiada aktualne warunki na przyłączenie do sieci elektrycznej i wod.-kan., gazowe są obecnie w trakcie procedowania.
Powierzchnia działki 846 m2, szerokość 21,15 m, długość 40,00 m.
W skład przedmiotowej działki wchodzą działki o numerach ewidencyjnych: 27/22 i 28/21.
Spokojna okolica, idealna lokalizacja z dogodnym dojazdem do wszystkich głównych punktów miasta.
Polecam, zapraszam do oglądania i kupna !
Zdjęcia obiektu
Kliknij na miniaturę, aby powiększyć wybrane zdjęcie
.
Okolica
spokojna okolica
Lokalizacja na mapie
Poniżej znajduje się mapa z zaznaczonym miejscem, gdzie znajduje się oferowana nieruchomość.
Ładowanie mapy...
Dane kontaktowe
Poniżej znajdują się dane umożliwiające kontakt z osobą oferującą nieruchomość.
Telefon kom. ›
603343010
Wyślij wiadomość ›
Kod ›
b4d901
Przepisz kod ›
Twój e-mail ›
Wyświetleń oferty:
3037