OGŁOSZENIA NIERUCHOMOŚCI
Sprzedaż - Kupno - Wynajem
domy
działki
garaże
magazyny
lokale użytkowe
mieszkania
budynki użytkowe
kamienice
pokoje
gospodarstwa rolne
domki
Rodzaj ogłoszenia:
- wszystkie ogłoszenia -
Sprzedaż
Kupno
Zamiana
Wynajem
Typ nieruchomości:
- wszystkie typy -
dom
działka
garaż
magazyn
lokal użytkowy
mieszkanie
budynek użytkowy
kamienica
pokój
gospodarstwo rolne
domek
Województwo:
- dowolne województwo -
dolnośląskie
kujawsko-pomorskie
lubelskie
lubuskie
łódzkie
małopolskie
mazowieckie
opolskie
podkarpackie
podlaskie
pomorskie
śląskie
świętokrzyskie
warmińsko-mazurskie
wielkopolskie
zachodniopomorskie
Cena (PLN):
od
do
Skorzystaj z poniższej mapy, aby szybko odnaleźć ogłoszenia nieruchomości w wybranym województwie.
provinces
Tanie noclegi i wczasy nad morzem.
Ceny już od 20 zł za osobę !
Zapraszamy nad polskie Morze Bałtyckie.
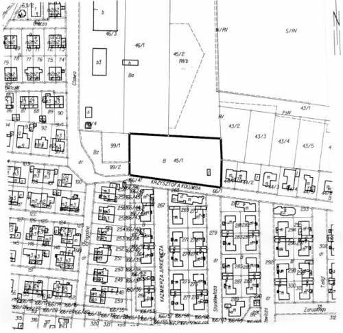
Działka na sprzedaż (4462 m
2
) - Kołobrzeg.
powrót
Cena ›
825470 zł
Typ nieruchomości ›
działka
Powierzchnia ›
4462 m
2
Województwo ›
zachodniopomorskie
Miejscowość ›
Kołobrzeg
Opis nieruchomości
Działka o powierzchni 4462m2 położona w Kołobrzegu przy ulicy Kolumba. W miejscowym planie zagospodarowania przestrzennego działka przeznaczona jest pod zabudowę mieszkaniową, jednorodzinną, wolnostojącą, bliźniaczą. Działka położona jest w sąsiedztwie osiedla domków jednorodzinnych w spokojnej części miasta.
Pow. łączna - 4462 m 2
Cena nieruchomości - 825 470 zł
Zdjęcia obiektu
Kliknij na miniaturę, aby powiększyć wybrane zdjęcie
.
Lokalizacja na mapie
Poniżej znajduje się mapa z zaznaczonym miejscem, gdzie znajduje się oferowana nieruchomość.
Ładowanie mapy...
Dane kontaktowe
Poniżej znajdują się dane umożliwiające kontakt z osobą oferującą nieruchomość.
Telefon ›
512217989
Wyślij wiadomość ›
Kod ›
a8fe19
Przepisz kod ›
Twój e-mail ›
Wyświetleń oferty:
4471