OGŁOSZENIA NIERUCHOMOŚCI
Sprzedaż - Kupno - Wynajem
domy
działki
garaże
magazyny
lokale użytkowe
mieszkania
budynki użytkowe
kamienice
pokoje
gospodarstwa rolne
domki
Rodzaj ogłoszenia:
- wszystkie ogłoszenia -
Sprzedaż
Kupno
Zamiana
Wynajem
Typ nieruchomości:
- wszystkie typy -
dom
działka
garaż
magazyn
lokal użytkowy
mieszkanie
budynek użytkowy
kamienica
pokój
gospodarstwo rolne
domek
Województwo:
- dowolne województwo -
dolnośląskie
kujawsko-pomorskie
lubelskie
lubuskie
łódzkie
małopolskie
mazowieckie
opolskie
podkarpackie
podlaskie
pomorskie
śląskie
świętokrzyskie
warmińsko-mazurskie
wielkopolskie
zachodniopomorskie
Cena (PLN):
od
do
Skorzystaj z poniższej mapy, aby szybko odnaleźć ogłoszenia nieruchomości w wybranym województwie.
provinces
Tanie noclegi i wczasy nad morzem.
Ceny już od 20 zł za osobę !
Zapraszamy nad polskie Morze Bałtyckie.
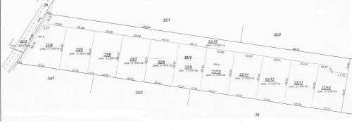
Działka na sprzedaż (13750 m
2
) - Sochaczew.
powrót
Cena ›
619000 zł
Typ nieruchomości ›
działka
Powierzchnia ›
13750 m
2
Województwo ›
mazowieckie
Miejscowość ›
Sochaczew
Ulica i nr ›
Kożuszki-Parcel
Opis nieruchomości
Do sprzedania działki budowlane pod Sochaczewem w Kożuszki-Parcel (3 km od centrum Sochaczewa oraz 35 km do Warszawy), o łącznej wielkości ok. 13.700 mkw, podzielone na 11 działek po ok.1.000 mkw. W niedalekiej odległości przystanek PKP, dojazd pociągiem do centrum Warszawy w 40 min. Założona księga wieczysta. W miejscowym planie zagospodarowania przestrzennego działka z przeznaczeniem pod zabudowę jednorodzinną. Spokojna okolica, w sąsiedztwie domy wolnostojące. Dojazd drogą asfaltową. Teren posiada pełen dostęp do mediów w drodze. Idealna pod zabudowę osiedla zamkniętego domów jednorodzinnych. Sprzedaż bezpośrednia. Przy zakupie całości cena 45 zł/m2 do negocjacji. Możliwość zakupu jednej (kilku) z mniejszych działek (wtedy cena do uzgodnienia). Więcej informacji pod nr tel. 661-968-451 lub na maila j.kudaruk@eurofinance.pl
Zdjęcia obiektu
Kliknij na miniaturę, aby powiększyć wybrane zdjęcie
.
Opis działki
brak kanalizacji
woda
prąd
Okolica
spokojna okolica
kolej podmiejska
autobus
Lokalizacja na mapie
Poniżej znajduje się mapa z zaznaczonym miejscem, gdzie znajduje się oferowana nieruchomość.
Ładowanie mapy...
Dane kontaktowe
Poniżej znajdują się dane umożliwiające kontakt z osobą oferującą nieruchomość.
Telefon kom. ›
661968451
Wyślij wiadomość ›
Kod ›
f5377c
Przepisz kod ›
Twój e-mail ›
Wyświetleń oferty:
4046